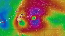
共軍距台230公里海域演習武嚇 烟花颱風來襲
【新唐人亞太台 2021 年 07 月 19 日訊】7月16日至21日,中共在距離台灣約230公里的浙江近海軍演,涵蓋海域範圍大,預計21日前後將有颱風「烟花」來襲。軍事專家呂禮詩在臉書表示,這次距離台灣將近250公里,並不是最接近的一次,他說,無論共軍演習的目的為何,總是天不從共軍,預估從20日起颱風將接近東海,屆時會出現長浪,並讓該處海域受到颱風外圍的影響。
中國海事局官網7月16號上午發布航行警告稱,從16日中午12時至21日晚上6時,在東海進行「實際使用武器訓練」,嚴禁船舶駛入。
台灣軍事專家蘇紫雲表示,中共軍方這次演習,並不是距離台灣最近的一次,但涵蓋範圍大,最外緣達到釣魚島正北方210公里,之前多在中國臨海離岸20公里左右。
台灣國防安全研究院國防戰略與資源研究所長 蘇紫雲:「這次在溫州和台洲外海,延伸出去將近200多公里,通常這是反艦飛彈飛行的範圍和作戰半徑,射程比較長的火力演習,包含反艦飛彈,還有艦隊的防空等操演,當然針對的是針對美日,因為日本公布了防衛白皮書,內容有些提及台海安全問題。」
外界猜測這次演習,是否和日前美國C-146A軍機短暫降落台北有關,蘇紫雲認為,美專機來台可能是傳遞電子通信保密器材,中共僅止於口頭抗議,和軍演關係不大。
而今年編號第6號的輕度颱風「烟花」正在台灣東南方海域形成,預計21號到22號將影響台灣,而共軍在浙江近海水域演習預計在21號下午結束。
台灣國防安全研究院國防戰略與資源研究所長 蘇紫雲:「中國的浙江海事局發布了海上演習的通告,到演習結束、21號結束的時候,颱風剛好抵達演習的位置。」
而日前美國軍方宣布派出25架F-22猛禽戰鬥機參加7月下旬在西太平洋的「2021太平洋鋼鐵行動」軍演,太平洋空軍司令維巴赫(Kenneth Wilsbach)說,「我們從來沒有在太平洋空軍的戰區,部署這麼多架猛禽戰機。」外界認為,是對可能發生的軍事衝突向中共釋放強烈的訊號。
新唐人記者 林岑心 劉芳 採訪報導
相關新聞
-
颱風烟花席捲江浙滬 二次登陸直逼上海
2021-07-26 14:39:44颱風「烟花」快速轉向遠離台灣後,25日中午登陸中國大陸浙江省舟山市普陀沿海,寧波、舟山多處發生海水倒灌,寧波、杭州部分地區出現水災。正值天文大潮期,烟花緩慢行進徘徊在江浙一帶;據當局消息,7月26日約9點50分在浙江嘉興平湖市沿海第二次登陸,中心附近最大風力10級。寧波、紹興、杭州、湖州、上海等地出現暴雨。江蘇省、浙江省、上海市受到烟花襲擊的損毀情況嚴重;預計後續影響華東大部分地區。當局稱,浙江撤離165萬人,上海撤離36.2萬人;26日,包含杭州及上海的機場有大量航班停駛,上海的地鐵及滬杭高鐵等都有停開
-
颱風烟花路徑奇異 避開台灣直撲上海浙江
2021-07-25 12:52:57今年第6號颱風「煙花」正來勢洶洶向浙江省沿海逼近,而本次強颱風未登陸就已在中國沿海城市初見威力。根據路徑,「煙花」移動奇異,在即將接近台灣時,竟九十度轉彎直奔上海、浙江方向襲來。
-
颱風烟花「二次登陸」 上海成風暴中心
2021-07-27 08:15:57週一上午,颱風「烟花」罕見的二次登陸浙江,颱風已讓華東多地出現重大災情,上海還出現斷水、斷電、斷網的災情。
-
利奇馬直撲中國釀災 浙江已18死、14失聯
2019-08-10 20:37:28再來看到,颱風利奇馬遠離台灣,直撲中國大陸,在周六(10)日凌晨1時45分,在中國浙江省溫嶺市沿海登陸,由於颱風導致堰塞湖決堤,造成至少18死14人失蹤。
-
利奇馬颱風直撲浙江釀32死 從山東2次登陸
2019-08-12 08:35:13跟台灣擦身而過的利奇馬颱風直撲中國大陸,造成嚴重災情,至少造成32人死亡,16人失蹤,利奇馬從浙江沿海登陸,引發「超歷史性大洪水」,臨海全市都被大水淹沒,古城區一片汪洋。
-
利奇馬登陸浙江 災民:水庫洩洪造成洪災
2019-08-12 20:44:43颱風「利奇馬」輕輕掠過台灣,但登陸浙江後,卻成為當地70年來第三強的颱風。造成嚴重災情,其中,溫州永嘉縣的村莊發生山崩,全村被掩埋,造成數十人死亡;台州臨海市遭遇罕見的大洪水,全市都被淹沒;樂清市和杭州銀坑村都傳出多人遇難。災民披露,上游水庫無預警洩洪造成洪災,財產損失慘重。
-
颱風烟花近90度轉彎 直撲浙江、衝擊上海
2021-07-26 11:29:37颱風烟花以近90度轉彎遠離台灣,氣象專家彭啟明在臉書寫到三個感恩,他說,因為烟花沒有直撲台灣 ,較旺盛的西南季風軸線,不是正對台灣幾個水庫水位大幅提升。不過,烟花週日在浙江上海一帶登陸,預計未來三天,浙江、上海、江蘇南部將有大暴雨到特大暴雨,目前,機場航班已取消、高鐵列車停運。彭啟明提醒,現在強風軸的確對準上海,走得慢,可能有嚴重的影響。
-
颱風「利奇馬」掃陸9省市 897萬人受災
2019-08-13 08:25:40颱風「利奇馬」輕輕掠過台灣,但登陸浙江後,卻成為當地70年來第三強的颱風。最新消息,重創範圍包括浙江、上海、江蘇、山東、安徽、福建、河北、遼寧、吉林9省市,造成897萬人受災,百萬人緊急轉移安置,並導致最少44人死亡,其中傳出,有上游水庫無預警洩洪造成洪災,財產損失慘重。
-
利奇馬衝擊中國六省 600萬人受災 損失超20億
2019-08-12 13:04:28再來關注颱風「利奇馬」對中國大陸帶來的影響。在颱風影響區域中,浙江受災最重,中共官媒消息,週日因「利奇馬」導致的死亡人數,上升至32人,另有16人失蹤,經濟損失超過20億美元。
-
中國新聞快報:北京遇狂風驟雨和冰雹 浙江超強颱風來襲
2022-09-07 16:38:28中國近日極端天氣肆虐。9月4日晚,北京市遭遇疾風驟雨,八個區遭冰雹襲擊。來看本期的,晚間新聞《中國新聞快報》。
-
颱風「梅花」登陸浙江 波及12省市
2022-09-15 09:06:35今年第12號颱風「梅花」週三夜間,已在中國浙江沿海登陸,將會波及12個省市,長三角地區的交通已經停運、學校停課。
-
梅花最快明晚登陸浙江 南瑪都新颱或生成
2022-09-13 09:14:19早安新唐人先來關心,中颱梅花的最新動態,受梅花颱風外圍環流影響,昨天,北部、東北部和中部山區降下明顯降雨,並伴隨短時強降雨,新北烏來兩天累計雨量已近五百毫米,現在,梅花漸往北遠離台灣,今天白天起北台灣降雨逐漸減緩,梅花今天晚間會加速朝西北往中國大陸浙江前進,今天下午到晚上,台灣有機會解除海上颱風警報。另外,今年第13號颱風、輕颱莫柏昨天生成,在梅花和莫柏之間,還有機會生成今年第14號颱風南瑪都,不過,莫柏和南瑪都因為距離遠,估計都不會影響台灣天氣。
-
颱風璨樹直撲上海 上海市如臨大敵
2021-09-13 21:30:23今年第14號颱風璨樹,快速離開台灣後,向浙江、上海方向挺進,將於今晚在上海南部登陸。目前,上海市如臨大敵,已暫停部分貨櫃港運作,及取消週一、二的大部分飛機出入航班。浙江海事部門已啟動防颱風 I 級響應。台灣氣象專家表示,颱風移動速度將趨緩,會有滯留的現象發生,預期將會滯留約2、3天,將會對浙江、上海及江蘇附近帶來嚴重衝擊。
-
強颱軒嵐諾影響陸東部沿海 浙江寧波Ⅰ級防颱
2022-09-05 11:48:12颱風軒嵐諾4日已升級為超強颱風,江浙一帶風雨強勁,浙江寧波沿海水域戒備。上海洋山港暫停營運,部署5萬警力。
-
烟花強度恐達中颱上限 估21日晚間海警、22日陸警
2021-07-21 13:54:44新聞開始先來關心,中颱「烟花」逐漸接近台灣,氣象局表示,烟花移動緩慢,可能在今晚發布海上警報,明天下午到晚間發布陸上警報,周五、周六將是烟花相對最接近台灣的時候,預估中部以北、宜蘭地區可能會局部大雨或豪雨以上等級的降雨出現。
-
烟花緩慢往北北西移動 陸警機率低、注意局部大雨
2021-07-23 13:21:50烟花颱風正以每小時14公里的速度朝北北西方向移動,氣象局預估,發布颱風陸上警報的機率已經相對較低,但還是要留意颱風接近台灣時帶來的大雨和強陣風,預估在明、後天就可望解除海上警報。
-
中颱烟花路徑持續北偏 北台灣入夜雨勢加劇
2021-07-21 20:56:52新聞一開始,先來關心,第六號颱風烟花,昨晚轉成中颱,今天中心風速增強、暴風圈擴大,路徑90度向北大轉彎,中心登陸機率下降。不過,外圍環流已經開始影響台灣,氣象局預估,今天晚間8點半將發布海上颱風警報,北台灣入夜後雨勢加劇,預估23、24日是中颱烟花最接近台灣的時候。
-
璨樹遠離台灣轉往上海 專家警告留意衝擊
2021-09-13 13:25:40再來關心,中颱璨樹逐漸遠離台灣,中央災害應變中心表示,統計全台颱風災情共計368件、沒有造成傷亡,累計全台共8萬2千多戶停電,已在昨晚8點半左右全數復電。氣象專家彭啟明在臉書貼文說,「璨樹」颱風目前持續往上海方向移動,颱風往長江口接近滯留,預計會對浙江、上海及江蘇附近帶來嚴重衝擊,當地氣象局已經提高防颱的最高預警,颱風璨樹可能在今晚到明凌晨,從上海登陸,浙江省寧波、舟山、台州等地已宣布中小學、幼兒園和培訓機構停課,杭州機場早上11點後的所有離港航班取消。
-
烟花颱風來襲 新竹縣五尖山區學校23日停班課
2021-07-22 22:22:31受烟花颱風豪雨影響,新竹縣山區今天豪雨不斷,五峰區24小時累積雨量逾263毫米,已達停止上班及上課基準且五峰、尖石2鄉為行政院農業委員會水土保持局於22日15時30分發布土石流黃色警戒 42 條及大規模崩塌黃色警戒區。
-
中颱「烟花」來襲 台水公司籲民眾儲水並節約用水
2021-07-21 17:16:19因應中度颱風烟花可能襲台,台灣自來水公司第四區管理處表示,受颱風影響,可能造成台灣中部地區有豪大雨現象,導致河川原水濁度飆高,降低淨水場處理能力,進而影響民眾用水。呼籲台中、南投地區用戶先行儲水備用,並配合節約用水措施。










