關鍵字:撤離
-
阿富汗撤離者或與ISIS有關 100人與觀察名單相符
2021-08-26 12:43:18關心阿富汗局勢,美國軍事新聞網站「防務一號」24號報導,一位美國官員向國防部證實,從喀布爾機場撤離出來的阿富汗人當中,至少有一人與恐怖組織伊斯蘭國有潛在關係。除此之外,另一位官員表示,還有100位可能獲得特殊移民簽證的阿富汗人,與情報機構的觀察名單相符。另外,前美國總統川普也對阿富汗撤離政策表示擔憂,他表示,可能已經有數千名恐怖分子,隨著撤離行動被載離喀布爾。
-
4000名美國護照持有人撤出阿富汗 難民也陸續抵美
2021-08-25 12:43:05路透社報導,美國國務院一位資深官員週二表示,美國已經從喀布爾撤離了4000多位美國護照持有者以及他們的家人。未來幾天這個數字還會繼續增長,另外,近日逃離阿富汗的人員,已經抵達美國,展開新的生活。
-
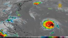
美軍33架C-17將前往喀布爾 各國加緊撤離行動
2021-08-24 12:58:25關心阿富汗局勢,美國媒體報導,美軍計劃要求33架美國空軍C-17運輸機在未來24小時內前往喀布爾的國際機場,每架運輸機都能夠將400名乘客帶出喀布爾,週末機場內外等待疏散的人數激增至約2萬人,但週一已減少至約1萬3千人。
-
喀布爾機場槍戰、踩踏20死 各國加緊撤離行動
2021-08-24 07:13:09早安新唐人先關心阿富汗局勢,為達成8月31日全部撤軍任務,美國國防部已動員民航班機加入,協助阿富汗的緊急撤離行動,也派直升機從機場外救出美國人。美國國防部表示,截至週一上午的24小時內,美國從阿富汗撤離了1萬多人。另外,在美法軍隊護送下,歐盟有260人,也進入喀布爾機場。
-
美國防部:7千人撤出喀布爾 撤軍期限未變
2021-08-20 07:14:31週四,美國國防部就阿富汗撤離行動的進展做出更新,在過去5天裡已有超過7000位平民撤離阿富汗。另外,美國總統拜登表示,在美國人全部撤離之前,會安排軍隊繼續在阿富汗留守,不過,五角大廈說撤軍期限未變,努力在最後期限內,竭盡所能轉移人群。
-
阿富汗危機 英美下週召開G7峰會
2021-08-18 20:20:29針對阿富汗的局勢,美國總統拜登與英國首相強生17日進行通話討論,宣布下週將針對阿富汗危機召開七大工業國集團(G7)視訊峰會。這是自塔利班奪權後,拜登首度與外國領袖通話。歐盟各國外長也在昨天召開緊急視訊會議,歐盟外交和安全政策高級代表波瑞爾表示,歐盟必須與塔利班對話,執行人員撤離及保護女性事宜,但並不代表即將承認塔利班政權。而北約秘書長史托騰柏格17日也表示,為了協助盟國從阿富汗撤離人員,正全力維持喀布爾國際機場運作,並說阿富汗領導人不站出來對抗,讓北約20年投資迅速崩潰,需要從中汲取教訓。
-
白宮:塔利班承諾「安全通道」 允許平民撤離
2021-08-18 07:12:27美國白宮週二確認,塔利班已承諾會提供「安全通道」,允許各國平民在8月31日前從喀布爾撤離。
-
中南部大雨 八卦山土石流進民宅 九旬民眾撤離
2021-08-01 19:35:59中央氣象局發布豪雨特報,從昨晚到今天(1日)上午彰化縣斷斷續續降下豪雨,尤其是彰化市、和美、伸港、線西等地的累積雨量驚人,造成彰化市八卦山麓旁的兩戶民宅被土石灌入,一度淹水最高達1公尺。有位9旬民眾因為長期臥床,緊急撤離。彰化市長林世賢表示,兩戶人家先行安置,再與相關單位會勘討論護坡事宜。
-
美南加橙縣爆發兩野火 超過10萬人強制撤離
2020-10-27 21:42:43美國加州洛杉磯近郊今天爆發野火,由於強風阻礙消防機滅火,火勢燃燒範圍超過3千公頃,將近10萬人遭到緊急撤離,兩名消防人員重傷。
-
夥伴互助!日本助台灣多批旅客撤離印度.斐濟
2020-04-04 19:38:21日本政府協助下,多批台灣滯留印度與斐濟旅客,得以撤到東京再轉回台灣。中華民國外交部表示由衷感謝日本及印度有關單位,提供及時協助與各項支援。
-
日內閣官房長官謝台灣包機 日航也助台人離印
2020-03-31 20:49:24歡迎回來,台灣主導包機,載送五國旅客離開鎖國的祕魯,日本內閣官房長官菅義偉於周一(30日)記者會中表示深深感謝台灣。台灣方面表示,這是美好的國際合作範例。而日方也協滯留印度的台灣旅客。
-
逃離武漢 美籍華人回憶撤僑經歷
2020-02-28 12:55:55美國從武漢的第二批撤僑中有一位華人,以文字的方式,講述了他們夫妻二人,回武漢探親到緊急撤離的經歷,來看報導。
-
武漢肺炎疫情蔓延 華爾街日報:美將撤離公民和外交官
2020-01-25 22:46:44去年12月在湖北省首府武漢爆發2019新型冠狀病毒(2019-nCoV)肺炎,疫情失控蔓延,武漢肺炎中國確診病例已上升到1356例,其中41例死亡,湖北省確診病例729例,39例死亡,武漢昨(24日)起封城,機場、火車站等對外交通暫時關閉。
-
澳洲大火已致27人死 何時結束無法預期
2020-01-10 12:57:44來關注澳洲大火的情況。週四,澳大利亞總理莫里森宣佈,火災死亡人數已上升至27人;並啟動新一輪撤離行動。
-
馬杜洛遲不下台 企圖把停電案指向瓜伊多
2019-03-13 12:50:32拉丁美洲的委內瑞拉,局勢緊張,美國國務院計劃本週內,從委內瑞拉撤出所有外交人員,而馬杜洛政權面臨下台呼聲,持續置之不理,甚至還要調查,臨時總統瓜伊多,是否與之前五天大停電有關係。
-
臉書加州總部遭炸彈威脅 警方緊急疏散
2018-12-12 12:42:33社群網站臉書,位在美國加州的總部,今天突然傳出有炸彈威脅,警方立刻封鎖可疑區域,要求附近居民撤離。臉書總部辦公室人員也已全部撤離,據路透社報導,臉書發言人證實總部收到威脅的消息。目前現場有大量警車進駐,還有直升機正在巡邏中,拆彈小組已經抵達現場搜查是否有爆裂物。
-
加州野火已71人遇難 天堂鎮燒成「地獄」
2018-11-17 20:46:53好,美國東部遭到暴風雪襲擊,而在西部,加州野火也還沒被撲滅,原本繁華美麗的小鎮,變成廢墟,最新的死亡人數,也攀升到71人,失蹤人數也突破千人。還有5.2萬人撤離家園。
-
超強颱「山竹」來襲 菲律賓千萬人遭威脅
2018-09-13 20:12:54好,這個超級強颱「山竹」,目前,正逐步往中國兩廣地區移動,而菲律賓,則是已經在颱風的路徑範圍內。來看到,菲律賓預測,從明天起,呂宋島北部與中部沿海,就會出現驚濤駭浪,可能導致山洪爆發、坡體滑落。菲律賓當局還評估,將有上千萬人身陷暴風圈,目前政府已撤離近萬名民眾,以避免發生不幸。
-
颶風佛羅倫斯逼近5級 美東南緊張應對
2018-09-12 12:41:03週二,颶風佛羅倫斯繼續逼近美國東南沿海地區,超過一百萬居民已接到撤離命令,北卡及南卡兩州進入緊急狀態。
-
聲波攻擊 疑中共使壞? 美撤多名駐華官員
2018-06-09 20:37:54帶您持續關注,美國駐中國廣州領事館,疑似持續遭受聲波攻擊,最新消息,目前至少有兩名工作人員聽到不正常的聲音後,感到不適。美國國務院表示,已經派醫生到廣州為其他職員檢查,預料會有更多人要撤離。
-
又2人聽到怪聲生病 美撤離駐陸外交官
2018-06-07 12:53:57又有奇怪聲波傷人事件?上個月,美方駐中國大陸廣州領事館,剛發生一名員工因為「感覺到異常的聲音」,而受到輕微腦部損傷。 紐約時報昨天報導說,又有兩名外交人員因為聽見怪聲而出現不適症狀,美國國務院表示,已經將多位外交人員送回美國。不過,具體病因目前還沒有查明。
-
威斯康辛州煉油廠連環爆炸 撤離數千人
2018-04-27 12:52:45美國威斯康辛州一處煉油廠,在當地時間今天上午10點發生爆炸,引發熊熊大火,造成至少20人受傷,目前沒有傳出有人死亡,當局已經下令,撤離煉油廠附近的數千居民。
-
暴雨狂轟釀災 南橫近百山友受困
2017-10-16 12:37:17卡努颱風遠離,但東台灣受災還沒有恢復,宜花東部分地區,今天仍停班停課。台東地區已經連續降下超過50小時的間歇性大豪雨,南迴台9線、台20線等省道,都傳出坍方及土石流災情,南迴鐵路太麻里到知本間,也發生土石流。南橫有93名山友受困,宜蘭則有老翁跌落圳溝,溺斃身亡。花蓮縣因為暴雨釀災,全縣撤離約1700多人。
-
颶風艾瑪肆虐佛州 居民商家堅強應對
2017-09-11 20:12:04美國總統川普,颶風艾瑪,稱之為怪物,目前已經有超過 200萬戶斷電。新唐人鏡頭,直擊佛州當地,來看居民與商家的反應。
-
躲避艾瑪強風暴雨 佛州居民緊急撤離
2017-09-09 20:06:04再來關心,自2010年以來,大西洋地區首度同時出現三個颶風。目前,其中之一的艾瑪,已經逼近美國佛州,佛州要求當地居民,560萬人撤離,已經創下美國史上天災撤離人數的,最高紀錄。
-
豪大雨襲全台 土石流紅色警戒增至178條
2017-06-17 20:01:32火線新聞,來關心,全台20縣市,籠罩在大豪雨、豪雨和大雨警戒區,農委會最新發布土石流警戒預報,紅色警戒,已經增加到178條土石流潛勢溪流,分別在台中市、南投縣、嘉義縣3縣市、7鄉鎮市區、41村里。中央也提醒地方政府應勸告或強制附近居民撤離,並作適當的安置。
-
傳北韓60萬人撤平壤 國際盯北韓核試
2017-04-14 20:09:21朝鮮半島局勢緊張,俄羅斯媒體今天披露,北韓領導人金正恩下令,平壤四分一人口,相當於60萬人撤離。日本首相安倍晉三昨天更語出驚人表示,北韓核子彈頭可能裝載沙林毒氣,一經發射,後果不堪設想。有消息指出,美國海軍為了攔截北韓導彈,目前在西太平洋海域集結了16艘神盾艦。因應北韓可能在這週六進行核試驗。
-
加州奧羅維爾水壩險情緩解 居民返家
2017-02-16 20:45:37如果水庫破洞,再加上裡頭的水滿位,那將是非常危險的威脅,而加州的奧羅維爾水壩,就是這樣的情況,不過還好,加州水資源廳官員在昨天表示,水位繼續下降,災情獲得緩解。將近20萬撤離的居民,也終於可以返還家園。
-
美最高水壩恐坍塌 加州疏散近20萬人
2017-02-14 12:54:35再來看到,全美國最高的「奧羅維爾水庫」洩洪道,上週發現受損,當局擔心水庫可能有坍塌危險,緊急要求下游近20萬居民撤離。
-
阿勒坡撤離8千人後 撤離工作暫停
2016-12-17 21:18:34來關注敘利亞局勢。八千名阿勒坡居民週四撤離,但撤離工作週五突然暫停,還有數萬人被困在城裡,其中有很多兒童。目擊者說,在撤離車隊附近聽到爆炸聲。
-
颶風馬修橫掃 北卡14死撤離數千人
2016-10-12 12:37:02大自然的威力,人類真的無法輕忽。鏡頭轉到美國,颶風馬修,在北卡羅來納州引發的洪水,並在美國累計造成21人死亡,數千人被迫離開家園。由於河水暴漲,威脅到整個州的大部份地區,當地政府只好繼續協助更多民眾撤離。
-
撐過莫蘭蒂又來梅姬!台東紅葉村直擊
2016-09-27 20:42:02鏡頭轉到台東,莫蘭蒂颱風的重創還沒復原,這次要再面臨中颱梅姬的侵襲,我們記者直擊棒球的故鄉,台東紅葉村。當地408位村民已經全數撤離,談到颱風,仍是餘悸猶存。
-
日本沖繩居民集會抗議 要求美軍撤離
2016-06-20 20:46:52再來看到,日本沖繩縣民眾,在昨天(6月19日)舉行了6.5萬人的大規模集會,要求駐紮在沖繩的美國海軍陸戰隊撤走,原因是,一名美軍基地人員強姦並殺害當地的一名女性。
-
柯文哲勸撤離 反課綱代表6日宣布決定
2015-08-06 07:04:18颱風要來,教育部前的同學們堅決不撤離,讓台北市長柯文哲很擔心,據稱柯文哲昨晚與反課綱學生幹部見面,學生代表陳建勳證實有和柯文哲會面,強調柯文哲告訴學生,風雨過大應該先找地方躲避。至於是否撤離,尊重學生的決定。學生將視風雨情況決定是否撤離,今天會宣布最後決定。
-
北加州野火蔓延 上萬居民被勸撤離
2015-08-04 12:47:56北加州上周三起連續發生山林大火,在乾旱高溫助長下猛烈延燒,一名消防隊員殉職,火勢持續擴大,燒毀數十棟民宅,加州州長布朗宣布災區進入緊急狀態,上萬居民被迫撤離。
-
西班牙伯納烏球場 7萬人8分鐘全撤光
2015-04-18 20:08:54遠雄號稱只要26分鐘,就能讓14萬人撤離大巨蛋,符合國際標準。不過對照其他國家,這樣的疏散速度真的夠快嗎?繼續是我們的深入報導。
-
墨西哥灣鑽油平台大火 4死300人撤離
2015-04-02 09:43:59墨西哥石油公司(Pemex)在墨西哥灣的一座鑽油平台昨天驚傳火警。火勢猛烈,造成至少4名工人死亡,多名工人受傷,300名工人被迫撤離。當局已派出8艘船滅火。 墨西哥石油公司在聲明中說,墨西哥灣康皮基桑德(Campeche Sound)地區的艾卡屯阿帕曼能特(Abkatun A-Permanente)鑽油平台在今天黎明前發生大火,有8艘消防船正在現場灌救。 大約有300名工人被撤到其他鑽油平台。 根據美國能源情報署(EIA)的資料,墨西哥目前是全世界第10大產油國,年產量不到230萬桶。
-
占中三子週三自首 呼籲學生撤離
2014-12-02 21:04:39香港雨傘運動超過2個月的時間,和平占中三子今天(2日)宣布星期三將自首,表示願意承擔公民抗命的法律後果,並對不仁政府的控訴,又為了占領者安全,呼籲占領人士盡快撤離,將運動轉化深入社區。
-
黃之鋒絕食首日 仍促港特首正視訴求
2014-12-02 21:02:25今天香港的氣溫只有17度,學民思潮3名成員昨天晚間開始絕食至今已經超過18小時。香港行政長官梁振英上午出席行政會議前表示,這些學生以絕食爭取「真普選」是徒勞之舉,要他們自己保重身體。不過,參與絕食的學民思潮召集人黃之鋒下午回應,與其要他們保重,不如請梁振英正視訴求,與學生重啟對話。
-
雲南強震 堰塞湖水位驟升 災民急撤離
2014-08-06 21:20:09雲南省昭通市魯甸縣發生6.5級地震至今,死亡人數已經攀升到589人,2千4百多人受傷。災後第三天,很多地方還沒有得到救援,災民抱怨政府救災進展緩慢。而地震引發山體滑坡堵塞牛欄江,形成堰塞湖,水位急速上升,危及下游居民,失去家園的災民,只能想辦法撤離。
-
郭董不信陸司法 外媒也評外商逃離潮
2014-01-27 21:27:10再來看到,鴻海總裁郭台銘,昨天在尾牙上批評中共司法黑暗,表示正在撤離深圳;其實,1月份的《經濟學人》封面故事,也整理近期外商撤離中國的情況,揭露中國經商環境的艱難。
-
二三線城市房貸暫停 大陸錢荒升級?
2013-09-16 21:25:22自今年6月份大陸銀行業發生錢荒以來,有關各地銀行將暫停房貸的消息層出不窮。最近,深圳4家銀行公開宣布暫停房貸,中共持有的國有大行也加入了停貸的行列,在二三線城市也出現了暫停房貸的現象。有分析人士認為,這說明了大陸錢荒正在蔓延,已經蔓延到地方銀行了。
-
恐怖威脅加劇 美英撤離葉門使館人員
2013-08-07 21:37:27由於葉門衝突擴大和恐怖威脅指數攀升,星期二(6號)美國國務院下令,撤離駐葉門大使館所有非必要人員,並通知美國公民立即離開葉門;英國也關閉了駐葉門大使館,並呼籲在葉門的英國民眾盡速離開 。
-
亞東醫院火警 緊急撤離390病患
2012-11-19 21:49:27今天凌晨一點多,新北市板橋亞東醫院發生火警,起火點是在醫院後方的核磁共振機房。由於濃煙在醫院內部擴散,醫護人員緊急撤離390位病患,火勢在15分鐘內撲滅,所幸沒有造成人員傷亡。
-
雲林樟湖地區憂土石流 風雨未來先撤離
2012-08-23 21:05:53雲林樟湖地區因為土石流山崩事故比較多,鑑於前兩次颱風的風雨帶來的災害,雲林縣政府這次提早撤離當地居民,到附近的民宿暫時安置,另外參加當地舉辦夏令營活動的成員也撤離到附近的寺廟。
-
連夜暴雨 秀林居民徹夜難眠
2012-08-02 21:12:06蘇拉颱風凌晨登陸花蓮,首當其衝的花蓮市區不但淹水半個車身,山區的秀林鄉也是泥流滾滾,許多秀林鄉村民感受到颱風威力,擔心家園不保,徹夜都不敢入睡,而擔心民眾生命安全,消防人員連夜緊急撤離村民,總計7個臨時收容所,已經湧進594位居民。
-
黛比掃佛州 二千戶遭撤離
2012-06-27 21:31:49星期二(26日),熱帶風暴黛比在登陸佛羅里達州後,以減弱為熱帶低氣壓。不過,仍為佛州帶來可觀的降雨,當局並強制撤離了2萬名河畔居民。
-
豪雨不斷 屏東撤離上千人
2012-06-10 21:13:45接著關心南台灣豪雨災情的最新情況,因為大雨下不停,屏東、高雄都出現淹水、路塌災情,屏東縣預警性撤離上千人,其中來義鄉撤離870多人,三地門鄉撤離220多人,到晚間8點,撤離工作都還在進行當中。
-
美國熱帶風暴李伊 13萬人撤
2011-09-09 21:39:16星期四(8號),熱帶風暴李伊,帶來的無情大雨,在美國東部引發災難性洪水,造成賓州3人死亡;美國東部三州有13萬人被迫撤離,撤離的區域包含賓夕法尼亞州、紐約州及馬里蘭州等。
-
颶風襲美東 數百萬人撤離10人遇難
2011-08-28 21:10:25超級颶風愛琳於美東時間星期六早晨7點半登陸北卡羅來納州沿岸,雖然已減弱為一級颶風,但威力仍然強大。目前已有7個州宣布進入緊急狀態,據外電報導,截至美東時間28日凌晨,艾琳颶風已導致至少10人死亡,數百萬戶停電,海陸空交通癱瘓,超過一萬班機取消。





隨處可看新唐人